投稿日: 2025年9月23日2025年9月23日2025年9月23日(火) 天気:曇り 透視度:12m 水温:27℃ 気温:25℃ 急に空気がひんやりしてきて、久々の最高気温25度と涼しい一日でした。 夏が終わって、急に秋がやってきたようです。 海の中はまだまだシーズン真っ只中なので、皆さん潜りに来てくださいね~ アケボノハゼのペア アザハタとテンジクダイ ボロカサゴ ニシキフウライウオのペア ニライカサゴ ハシナガウバウオyg ミツボシクロスズメダイいっぱい
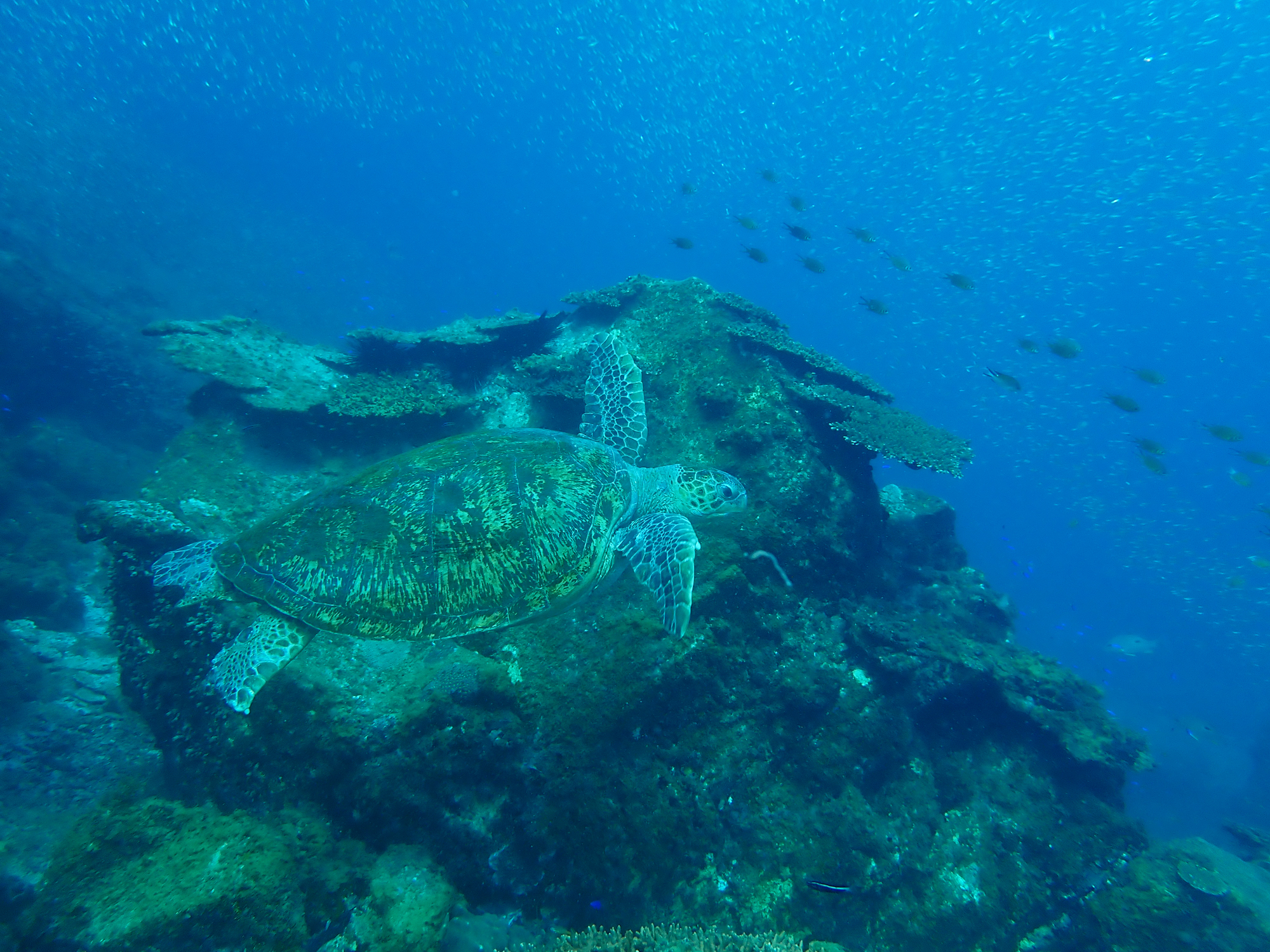
投稿日: 2025年9月21日2025年9月21日2025年9月21日(日) 天気:晴れ 透視度:12m 水温:27℃ 気温:32℃ 9月も後半になり、急に朝晩は涼しく感じるようになりました。 海の中はまだ27℃~28℃あるので、海の中の方が暖かいと感じることもあります。 生物はまだまだ豊富で盛りだくさん!! ボロカサゴ アケボノハゼのペア クダゴンベのペア アオウミガメ デルタスズメダイyg
投稿日: 2025年9月20日2025年9月20日2025年9月20日(土) 天気:曇り 透視度:8m 水温:27℃ 気温:30℃ ハナミノカサゴyg ヒレグロコショウダイyg クダゴンベyg イソコンペイトウガニのペア ムチカラマツエビのペア オオウミウマ
投稿日: 2025年9月16日2025年9月16日2025年9月16日(火) 天気:晴れ 透視度:10m 水温:28℃ 気温:32℃ ガルゴビー Photo by Nagakane コダマタツのペア Photo by Nagakane ヤシャハゼとハナハゼ Photo by Nagakane タコの卵 Photo by Nagakane ワライヤドリエビ Photo by Nagakane
投稿日: 2025年9月15日2025年9月15日2025年9月15日(月) 天気:晴れ 透視度:12m 水温:28℃ 気温:33℃ オレンジコンビクトゴビー Photo by Nagakane ハナヒゲウツボ Photo by Nagakane セダカギンポyg Photo by Nagakane ホソテンロクケボリガイ Photo by Nagakane タテジマキンチャクダイyg Photo by Nagakane